
Giá vàng trong nước và thế giới
VnEconomy cập nhật giá vàng trong nước & thế giới hôm nay: SJC, 9999, giá vàng USD/oz, biến động giá vàng tăng, giảm - phân tích, dự báo & dữ liệu lịch sử.
Thứ Năm, 29/01/2026
Tuấn Dũng
26/09/2022, 10:50
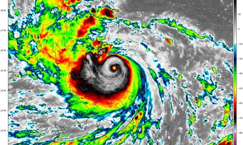
Sáng 26/9, phát biểu mở đầu tại Hội nghị trực tuyến toàn quốc về đẩy mạnh giải ngân vốn đầu tư công và thực hiện ba chương trình mục tiêu quốc gia, Thủ tướng Phạm Minh Chính dành thời gian chỉ đạo nóng các bộ, ngành, địa phương tập trung phòng, chống bão số 4 (bão Noru).
Thủ tướng lưu ý, cơn bão Durian (hay bão số 9 tại Việt Nam) cuối năm 2006 đã gây thiệt hại rất lớn về người và của (khoảng 10.000 tỷ đồng ở thời điểm đó).
Do đó, các bộ, ngành, cơ quan, các địa phương, nhất là các tỉnh, thành phố miền Trung phải tập trung chỉ đạo, triển khai công tác ứng phó bão số 4 theo phương châm "bốn tại chỗ" với tinh thần khẩn trương, quyết liệt nhất.
Thủ tướng cho biết, bão số 4 mạnh cấp 12-13, giật cấp 14 đang di chuyển ở Biển Đông hướng về nước ta. Dự báo, bão sẽ đổ bộ vào đất liền khu vực miền Trung nước ta. Đây là cơn bão mạnh, có sức tàn phá lớn, độ rủi ro thiên tai cấp 3.
Theo yêu cầu của Thủ tướng Chính phủ, Phó Thủ tướng Lê Văn Thành đã họp và có các chỉ đạo ứng phó bão số 4; Bộ trưởng Bộ Nông nghiệp và Phát triển nông thôn Lê Minh Hoan đang có mặt ở miền Trung để trực tiếp kiểm tra, đôn đốc, chỉ đạo công tác ứng phó bão.
Thủ tướng cho biết đã gọi điện cho lãnh đạo một số tỉnh, thành phố khu vực ở miền Trung để nắm tình hình và chỉ đạo phòng, chống bão, được biết tại các địa phương vẫn trời quang, mây tạnh. Do đó, người dân rất dễ nhầm lẫn về mức độ của bão, trong khi theo kinh nghiệm trước khi bão đổ bộ, trời quang, mây tạnh lại thường là bão lớn.
Thủ tướng yêu cầu các bộ, ngành, đặc biệt các địa phương tuyệt đối không chủ quan, lơ là, mất cảnh giác; theo dõi sát diễn biến của bão số 4, triển khai nghiêm các công điện, chỉ đạo phòng, chống bão của Trung ương.
Trước mắt, các địa phương kêu gọi ngư dân, tàu thuyền không ra khơi đánh bắt hải sản mà vào nơi tránh trú an toàn; kêu gọi người dân gia cố lòng bè nuôi trồng thủy sản, rời khỏi lòng bè trước khi bão đổ bộ; kiểm tra hồ đập, gia cố vững chắc; cảnh báo, di dời người dân khỏi các khu vực có thể xảy ra sạt lở...
Nhân chuyến thăm chính thức Việt Nam của Chủ tịch Hội đồng châu Âu António Costa từ ngày 28–29/1/2026, Việt Nam và Liên minh châu Âu đã ra Tuyên bố chung nâng cấp quan hệ song phương lên Đối tác chiến lược toàn diện, mở ra khuôn khổ hợp tác sâu rộng, toàn diện và dài hạn trên nhiều lĩnh vực.
Năm 2025, tình hình thế giới biến động, nhưng lại là năm ghi dấu một năm sôi động và thành công của đối ngoại Việt Nam. Trả lời phỏng vấn báo chí, Ủy viên Bộ Chính trị, Bộ trưởng Ngoại giao Lê Hoài Trung đã tổng kết những kết quả nổi bật, đồng thời làm rõ các định hướng chiến lược nhằm triển khai hiệu quả đối ngoại và hội nhập quốc tế ở tầm cao mới.
Chuyến thăm chính thức Việt Nam của Chủ tịch Hội đồng châu Âu António Costa trong hai ngày 28–29/1 đánh dấu bước phát triển mang tính lịch sử trong quan hệ Việt Nam – Liên minh châu Âu. Hai bên chính thức nâng cấp quan hệ lên Đối tác chiến lược toàn diện, tạo nền tảng thúc đẩy hợp tác kinh tế, hội nhập sâu rộng và phối hợp chiến lược trong bối cảnh mới.
Trưa 29/1, tại Phủ Chủ tịch, Chủ tịch nước Lương Cường và Chủ tịch Hội đồng châu Âu António Costa đã chủ trì cuộc gặp gỡ báo chí, thông báo kết quả hội đàm cấp cao và chính thức công bố việc Việt Nam và Liên minh châu Âu nâng cấp quan hệ song phương lên Đối tác Chiến lược Toàn diện.
Qua rà soát, dự thảo điều chỉnh 327 thủ tục hành chính và 64 đăng ký kinh doanh tại 65 văn bản. Việc xây dựng nghị quyết nhằm tạo lập môi trường kinh doanh thuận lợi, lành mạnh, công bằng; thúc đẩy đổi mới, sáng tạo và nâng cao hiệu lực, hiệu quả quản lý nhà nước.
Thuế đối ứng của Mỹ có ảnh hướng thế nào đến chứng khoán?
Chính sách thuế quan mới của Mỹ, đặc biệt với mức thuế đối ứng 20% áp dụng từ ngày 7/8/2025 (giảm từ 46% sau đàm phán), có tác động đáng kể đến kinh tế Việt Nam do sự phụ thuộc lớn vào xuất khẩu sang Mỹ (chiếm ~30% kim ngạch xuất khẩu). Dưới đây là phân tích ngắn gọn về các ảnh hưởng chính: