
Nâng hạng thị trường chứng khoán Việt Nam
Việt Nam đáp ứng các tiêu chí nâng hạng từ thị trường chứng khoán cận biên lên thị trường mới nổi.
Thứ Năm, 09/10/2025
Tuấn Dũng
26/09/2022, 08:38
Toàn bộ tàu thuyền hoạt động trong vùng nguy hiểm đều có nguy cơ cao chịu tác động của gió mạnh, sóng lớn và lốc xoáy. Cấp độ rủi ro thiên tai: cấp 3.
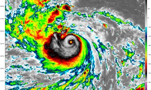
Theo Trung tâm Dự báo khí tượng thủy văn quốc gia, sáng sớm 26/9, bão Noru đã vượt qua khu vực phía Nam của đảo Luzon (Philippines), đi vào Biển Đông, trở thành cơn bão số 4 năm 2022.
Hồi 4 giờ ngày 26/9, vị trí tâm bão ở trên vùng biển phía Tây đảo Luzon (Philippines), cách quần đảo Hoàng Sa khoảng 810 km về phía Đông. Sức gió mạnh nhất vùng gần tâm bão mạnh cấp 12-13 (118-149 km/giờ), giật cấp 14. Bán kính gió mạnh từ cấp 6, giật từ cấp 8 trở lên khoảng 230 km tính từ tâm bão; bán kính gió mạnh từ cấp 10, giật từ cấp 12 trở lên khoảng 100 km tính từ tâm bão.
Dự báo trong 24 giờ tới, bão di chuyển chủ yếu theo hướng Tây Tây Bắc, mỗi giờ đi được 20-25 km, đi vào Biển Đông. Đến 4 giờ ngày 27/9, vị trí tâm bão ở cách quần đảo Hoàng Sa khoảng 250 km về phía Đông Đông Nam. Sức gió mạnh nhất vùng gần tâm bão mạnh cấp 13 (134-149 km/giờ), giật cấp 16.
Đến 4 giờ ngày 28/9, vị trí tâm bão ở cách đất liền Đà Nẵng-Bình Định khoảng 170 km về phía Đông. Sức gió mạnh nhất vùng gần tâm bão mạnh cấp 13-14 (134-166 km/giờ), giật cấp 17.
Vùng nguy hiểm trên Biển Đông trong 24 giờ tới (gió mạnh từ cấp 6 trở lên, giật từ cấp 8 trở lên): từ vĩ tuyến 12,5 đến 20,0 độ Vĩ Bắc; phía Đông kinh tuyến 111,5 độ Kinh Đông. Toàn bộ tàu thuyền hoạt động trong vùng nguy hiểm đều có nguy cơ cao chịu tác động của gió mạnh, sóng lớn và lốc xoáy. Cấp độ rủi ro thiên tai: cấp 3.
Trong 24 đến 48 giờ tiếp theo, bão di chuyển chủ yếu theo hướng Tây, mỗi giờ đi được 20-25 km và có xu hướng mạnh thêm. Đến 4 giờ ngày 28/9, vị trí tâm bão ở cách đất liền Đà Nẵng-Bình Định khoảng 170 km về phía Đông. Sức gió mạnh nhất vùng gần tâm bão mạnh cấp 13-14 (134-166 km/giờ), giật cấp 17.
Vùng nguy hiểm trên biển trong 24 đến 48 giờ tiếp theo (gió mạnh từ cấp 6 trở lên, giật từ cấp 8 trở lên): Từ vĩ tuyến 12,0 đến 20,0 độ Vĩ Bắc; phía Tây kinh tuyến 118,0 độ Kinh Đông. Toàn bộ tàu thuyền và các hoạt động trong vùng nguy hiểm đều có nguy cơ cao chịu tác động của gió mạnh, sóng lớn và lốc xoáy. Cấp độ rủi ro thiên tai: cấp 3.
Trong 48 đến 72 giờ tiếp theo, bão di chuyển chủ yếu theo hướng Tây, mỗi giờ đi được 20-25 km, đi vào đất liền khu vực Trung Trung Bộ, suy yếu dần thành áp thấp nhiệt đới. Đến 4 giờ ngày 29/9, vị trí tâm áp thấp nhiệt đới ở trên khu vực trên khu vực phía Nam Lào. Sức gió mạnh nhất vùng gần tâm áp thấp nhiệt đới mạnh cấp 6 (39-49 km/giờ), giật cấp 8.
Trong 72 đến 96 giờ tiếp theo, áp thấp nhiệt đới di chuyển chủ yếu theo hướng Tây với tốc độ 20-25 km/giờ, suy yếu và tan dần.
Trong ngày 26/9, vùng biển phía Nam khu vực Bắc Biển Đông (bao gồm vùng biển quần đảo Hoàng Sa), khu vực giữa Biển Đông có mưa bão, gió mạnh cấp 8-9, sau tăng lên cấp 10-11; vùng gần tâm bão cấp 12-14, giật cấp 17; sóng biển cao từ 8-10 m; biển động dữ dội.
Từ trưa 27/9, vùng biển ngoài khơi khu vực từ Quảng Bình đến Ninh Thuận (bao gồm huyện đảo Cồn Cỏ, Cù Lao Chàm, Lý Sơn) có gió mạnh cấp 8-9, sau tăng lên cấp 10-11, vùng gần tâm bão mạnh cấp 12-14, giật cấp 17, sóng biển cao 8-10 m, biển động dữ dội.
Từ tối và đêm 27/9, vùng biển ven bờ khu vực từ Thừa Thiên-Huế đến Bình Định có sóng biển cao 3-5 m, vùng gần tâm bão 6-8 m. Khu vực từ Quảng Trị đến Quảng Ngãi cần đề phòng nước dâng do bão cao 1-1,5 m gây ngập úng tại khu vực trũng, thấp ở ven biển, cửa sông. Toàn bộ tàu thuyền, khu nuôi trồng thủy sản và các hoạt động tại các vùng biển trên đều có nguy cơ cao chịu tác động của gió mạnh, sóng lớn, lốc xoáy và nước biển dâng do bão.
Từ gần sáng 28/9, khu vực ven biển từ Quảng Trị trở vào đến Ninh Thuận có gió mạnh cấp 6, sau tăng lên cấp 7-8, giật cấp 9-10. Ven biển khu vực Đà Nẵng, Quảng Nam, Quảng Ngãi, Bình Định, từ sáng sớm 28/9 có gió mạnh cấp 9-10, vùng gần tâm bão mạnh cấp 11-12, giật cấp 14-15, các khu vực sâu hơn trong đất liền gió mạnh cấp 8-9; giật cấp 12-13. Khu vực Kon Tum, Gia Lai ngày 28/9 có gió mạnh dần lên 6, sau tăng lên cấp 7-8, có nơi cấp 9, giật cấp 11.
Từ chiều 27/9 đến ngày 28/9, khu vực từ Trung Trung Bộ, Bắc Tây Nguyên mưa to, đến rất to, dông kèm gió giật mạnh, lượng mưa phổ biến 150-300 mm, có nơi trên 350 mm. Từ 28-30/9, mưa có xu hướng mở rộng ra khu vực Bắc Trung Bộ.
Các tỉnh, thành phố: Đà Nẵng, Quảng Nam, Quảng Ngãi, Bình Định có cấp độ rủi ro thiên tai cấp 4. Quảng Trị, Thừa Thiên-Huế, Phú Yên, Kon Tum, Gia Lai Cấp độ rủi ro thiên tai cấp 3.
Để chủ động ứng phó nhằm giảm thiểu đến mức thấp nhất thiệt hại do bão Noru gây ra, Bộ đội biên phòng tỉnh Quảng Nam đã huy động tối đa lực lượng cán bộ, chiến sĩ, phương tiện, thiết bị ra quân trên toàn tuyến biển để cùng với các địa phương ven biển triển khai nhanh và quyết liệt các biện pháp cấp bách, an toàn, phù hợp với điều kiện thực tế của từng địa phương và lên phương án di dời dân khi nước biển dâng cao.
Tối 25/9, Chủ tịch Ủy ban nhân dân tỉnh Quảng Ngãi Đặng Văn Minh đã ký ban hành Công điện khẩn chỉ đạo các cơ quan, đơn vị, địa phương triển khai các biện pháp ứng phó bão và mưa lũ.
Chủ tịch Ủy ban nhân dân tỉnh Quảng Ngãi yêu cầu các cơ quan đơn vị, địa phương tạm hoãn các công việc chưa thực sự cần thiết để tập trung công tác phòng, chống khi bão Noru đổ bộ vào đất liền; hướng dẫn cho các chủ phương tiện, tàu thuyền đang hoạt động trên biển biết vị trí, hướng di chuyển và diễn biến của bão để chủ động phòng tránh, thoát ra hoặc không đi vào vùng nguy hiểm của bão, sớm hoàn thành việc kêu gọi tàu thuyền tránh trú bão, cấm các phương tiện hoạt động trên biển kể cả hoạt động vận chuyển khách ra vào Đảo Lý Sơn từ 12 giờ ngày 26/9.
Yêu cầu các huyện, thị xã, thành phố hoàn thành di dời, sơ tán người dân đến nơi an toàn trước 10 giờ ngày 27/9, địa điểm sơ tán dân phải đảm bảo lương thực, thực phẩm vệ sinh môi trường; các địa phương triển khai các biện pháp hạn chế người, phương tiện hoạt động trên đường khi bão đổ bộ.
Chiều 25/9, Chủ tịch UBND tỉnh Quảng Trị Võ Văn Hưng đã ra Công điện khẩn tập trung ứng phó với bão Noru và mưa lũ. Theo đó, các địa phương, đơn vị tổ chức kiểm tra, kêu gọi, hướng dẫn các phương tiện tàu thuyền còn hoạt động trên biển thoát ra khỏi khu vực nguy hiểm về nơi tránh trú an toàn. Yêu cầu các chủ phương tiện có phương án đảm bảo an toàn cho tàu thuyền ở khu neo đậu, tuyệt đối không để xảy ra thiệt hại về người; hướng dẫn việc chằng, neo và có phương án đảm bảo an toàn về người, phương tiện tại nơi tránh trú; tổ chức neo đậu, chủ động đưa tàu thuyền nhỏ lên bờ để hạn chế thiệt hại; nghiêm cấm tàu thuyền ra khơi từ 19 giờ ngày 25/9.
Ngày 25/9, Chủ tịch Ủy ban nhân tỉnh Phú Yên Trần Hữu Thế đã yêu cầu các địa phương, đơn vị trong tỉnh chủ động ngay các kịch bản ứng phó với bão Noru. Theo dự báo, Phú Yên nằm trong khu vực được cảnh báo có mức độ rủi ro do thiên tai ở cấp độ 3 nên mọi công tác chuẩn bị cần chu đáo để đảm bảo an toàn về người và tài sản.
Trước diễn biến phức tạp của bão Noru, có thể gây mưa to, nguy cơ xảy ra lũ quét, sạt lở đất trên địa bàn, UBND tỉnh Hà Tĩnh đã ban hành công điện khẩn yêu cầu ngành chức năng cùng các địa phương chủ động ứng phó với bão. Theo Ban Quản lý các cảng cá tỉnh Hà Tĩnh, tính đến 15 giờ ngày 25/9, đa số các tàu thuyền của ngư dân địa phương đã vào nơi neo đậu để tránh trú bão an toàn
Đến chiều 25/9, hơn 6.000 tàu cá với trên 19.000 lao động của các địa phương trong tỉnh Quảng Bình đã vào nơi tránh trú an toàn… Nhằm ứng phó với bão Noru, Ban Chỉ huy Phòng chống thiên tai và Tìm kiếm cứu nạn kiêm phòng thủ dân sự tỉnh Quảng Bình đã có công điện hỏa tốc gửi đến các đơn vị, địa phương, sẵn sàng, triển khai các phương án phòng chống.
Công điện đã yêu cầu các đơn vị, địa phương theo dõi chặt chẽ diễn biến của mưa bão để triển khai phương án ứng phó theo phương châm “4 tại chỗ” phù hợp với điều kiện địa phương, không để bị động, bất ngờ, đảm bảo an toàn trong mọi tình huống….
Công điện nêu rõ, Chính phủ ghi nhận những nỗ lực cải cách của toàn ngành chứng khoán trong việc triển khai các giải pháp phát triển thị trường chứng khoán minh bạch, hiện đại, hiệu quả, phù hợp với các chuẩn mực quốc tế...
Thủ tướng Chính phủ Phạm Minh Chính ký Quyết định số 2222/QĐ-TTg ngày 8/10/2025 thành lập Ban Chỉ đạo Lễ mở ký Công ước của Liên hợp quốc về chống tội phạm mạng và các sự kiện liên quan tại Việt Nam (Ban Chỉ đạo Lễ mở ký Công ước Hà Nội)...
Việt Nam sẵn sàng là đối tác tin cậy, là điểm đến an toàn, hấp dẫn cho cộng đồng doanh nghiệp nói chung và lĩnh vực logistics nói riêng. Bạn bè quốc tế sẽ có thêm niềm tin với Việt Nam, niềm tin để cùng hợp tác phát triển ngành logistics nhanh, xanh, số và bền vững…
Chiều 8/10, tại Hà Nội, Bộ Ngoại giao phối hợp với Bộ Công an tổ chức Họp báo về Lễ mở ký Công ước của Liên hợp quốc về chống tội phạm mạng (Công ước Hà Nội). Thượng tướng Phạm Thế Tùng, Thứ trưởng Bộ Công an; Thứ trưởng Bộ Ngoại giao Đặng Hoàng Giang và Thiếu tướng Lê Xuân Minh, Cục trưởng Cục An ninh mạng và phòng, chống tội phạm công nghệ cao (Bộ Công an), đồng chủ trì họp báo.
Dòng vốn đầu tư trực tiếp nước ngoài (FDI) đã và đang là động lực quan trọng cho sự phát triển của Việt Nam. Tuy nhiên, câu chuyện thành công của Nhật Bản, một quốc gia vươn lên thành cường quốc kinh tế mà không phụ thuộc vào FDI, đã đặt ra một bài học kinh nghiệm quý giá: đã đến lúc Việt Nam cần chuyển mình từ thu hút FDI bằng mọi giá sang một chiến lược có chọn lọc, chất lượng và tập trung vào việc nâng cao nội lực quốc gia.
Thuế đối ứng của Mỹ có ảnh hướng thế nào đến chứng khoán?
Chính sách thuế quan mới của Mỹ, đặc biệt với mức thuế đối ứng 20% áp dụng từ ngày 7/8/2025 (giảm từ 46% sau đàm phán), có tác động đáng kể đến kinh tế Việt Nam do sự phụ thuộc lớn vào xuất khẩu sang Mỹ (chiếm ~30% kim ngạch xuất khẩu). Dưới đây là phân tích ngắn gọn về các ảnh hưởng chính: